¿Cómo diferenciar una cobaya macho de una hembra?
Ver fichas de Cobayas
¿Cómo saber si una cobaya es macho o hembra? Sin duda, esta es una de las primeras preguntas que surgen cuando decidimos adoptar a un animal como este, especialmente si ya convivimos con un ejemplar y queremos evitar embarazos no deseados. Las cobayas, también conocidas como cuyos o conejillos de indias, alcanzan la madurez sexual muy rápido y enseguida se muestran receptivos para el apareamiento, por lo que una separación a tiempo es más que conveniente. En este sentido, tampoco está de más tener en cuenta la opción de esterilizar al animal.
Sigue leyendo y descubre en este artículo de ExpertoAnimal las principales diferencias entre cobayas machos y hembras para aprender a identificar el sexo de la tuya.
¿A qué edad se puede saber si una cobaya es macho o hembra?
Distinguir una cobaya macho de una hembra no es una tarea que se pueda realizar nada más nacer el animal por el reducido tamaño de su cuerpo, por ello es imprescindible esperar cierto tiempo para proceder a examinar sus genitales. En general, a partir de las dos semanas de vida, que es cuando suele producirse además el destete, ya podemos observar diferencias entre sexos a simple vista. No obstante, al ser todavía muy pequeños, cabe destacar que una conclusión errónea acostumbra a ser común cuando no se es experto, ya que no todos los animales se desarrollan por igual ni al mismo tiempo. Incluso las personas que se dedican a su cuidado y crianza pueden equivocarse al realizar una identificación temprana, por lo que si acabas de adoptar a una cobaya bebé y no tienes claro su sexo, lo más adecuado es acudir a un veterinario para ello, especialmente si ya convives con una cobaya adulta hembra y quieres evitar un posible embarazo.
¿Cuándo alcanzan la madurez sexual?
Las hembras suelen alcanzar la madurez sexual entre las tres y las cinco semanas de vida, mientras que los machos pueden tardar una o dos semanas más, siendo la media común entre las cuatro y las seis semanas tras el nacimiento. Sin embargo, que hayan alcanzado la madurez sexual y, por ende, sus genitales estén desarrollados, no quiere decir que sea aconsejable reproducirlos en este momento. Los expertos recomiendan esperar a que los machos tengan alrededor de dos meses de edad y las hembras cinco meses para reproducirse.
¿Cómo coger a una cobaya correctamente?
Para proceder a identificar si una cobaya es macho o hembra, debemos cogerla con mucho cuidado y colocarla boca arriba, siempre garantizando que se encuentra cómoda, relajada y segura. Jamás forzaremos al animal a estar en una postura incómoda para él, puesto que le generaríamos un estado de estrés y provocaríamos que relacionara nuestra presencia con situaciones y estímulos negativos. Así, lo primero que hemos que de aprender es a tratar con nuestro nuevo compañero y a cogerlo correctamente. Para ello, lo ideal es acostumbrar al animal al contacto desde el primer momento, dejando que huela nuestras manos, se apoye en ellas e, incluso, suba encima. Durante los primeros encuentros, no trataremos de levantar al animal ni presionarlo, simplemente nos limitaremos a ganarnos su confianza.
Durante el proceso, relacionaremos nuestra presencia y el contacto humano con estímulos positivos, como su comida favorita. Así mismo, conforme el animal se acostumbre, podemos empezar a acariciarlo, recogerlo ligeramente apoyando una mano sobre su región posterior y, poco a poco, levantarlo con nuestras manos, manteniendo su posición segura. Una vez nos hemos ganado su confianza y la cobaya se sienta completamente segura entre nuestras manos y brazos, ¿cómo la colocamos boca arriba para examinar los genitales?
Para observar la zona íntima del animal no le daremos la vuelta por completo, dejando su lomo apoyado sobre nuestro regazo, sino que adoptaremos una postura más bien vertical con tendencia diagonal. De esta forma, quizá lo más adecuado será contar con la ayuda de otra persona para ver con detenimiento si la cobaya es macho o hembra. Por otro lado, jamás cogeremos a la cobaya por el cuello ni por las axilas. Entonces, te preguntarás, ¿cómo la aguantamos? Con una mano, cogeremos la región posterior, mientras que con la otra sujetaremos la parte superior, situando las patas delanteras dentro de la mano, y no fuera.
¿Cómo saber si mi cobaya es macho?
Si no has logrado encontrar a nadie que te ayude a identificar si tu cobaya es macho o hembra, sigue las instrucciones anteriores para coger al animal pero situándolo frente a ti para que te sea más fácil verlo. Si observas que levantándolo se pone nervioso, lo mejor será que seas tú quien se ponga a su altura, colocándolo sobre el sofá por ejemplo. Una vez encontrada la postura adecuada para ambos, deberás proceder a examinar sus genitales.
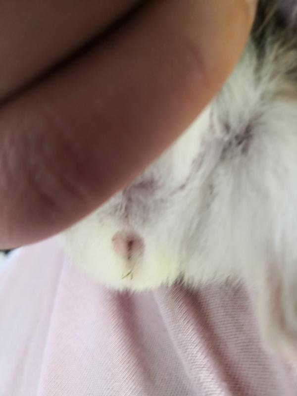
Todas las cobayas, tanto machos como hembras, presentan mamas y los genitales en forma de "Y". Sin embargo, los machos acostumbran a tener como un punto encima, o pequeño bulto, mostrando algo más parecido a una "i". Dicho punto, no es otra cosa que el pene, y para estar completamente seguros de que así es, podemos presionar ligeramente con el pulgar sobre el aparato reproductor. Al hacerlo, el pene tiende a salir sin dificultades para mostrarse claramente.
A partir de los dos meses de vida, aproximadamente, también se pueden observar los testículos, hecho que evidencia todavía más su género.
¿Cómo saber si mi cobaya es hembra?
Las hembras, al contrario que los machos, solo muestran una "Y" en sus genitales. De esta forma, al realizar el ejercicio anterior de presión, vemos como no se desarrolla ningún cambio en su aparato reproductor, confirmando, así, que se trata de una cobaya hembra.
Como decíamos en el apartado anterior, ambos sexos presentan mamas, de manera que este no es un rasgo diferenciador ni propio de las hembras. Así pues, en caso de observarlas no debes dar por sentado que tu cobaya es una fémina.
¿Cuándo separar a una cobaya macho de una hembra?
Para evitar embarazos no deseados, al ser las cobayas animales muy precoces y prematuros, lo más recomendable es separarlos una vez producido el destete, es decir, a partir de las dos o tres semanas de vida. Esto es así debido a que algunos ejemplares tienden a desarrollarse antes de los meses indicados anteriormente y, por tanto, a mostrarse receptivos para la reproducción.
Ahora que sabes cómo diferenciar una cobaya macho de una hembra y cuándo proceder a separarlos, ¡no olvides consultar todos nuestros artículos sobre cobayas para ofrecer a tu pequeño amigo los mejores cuidados! Algunos de ellos son:
Si deseas leer más artículos parecidos a ¿Cómo diferenciar una cobaya macho de una hembra?, te recomendamos que entres en nuestra categoría de Qué necesitas saber.
- VIVAS TÓRREZ, J. A. Especies alternativas: manual de crianza de cobayos. Universidad Nacional Agraria, Facultad de Ciencia Animal, Departamento de Medicina Veterinaria. 2013. ISBN 978-99924-1-022-6. Disponible en: http://cenida.una.edu.ni/Textos/nl01v856e.pdf.

Me podrían ayudar a determinar que es
Hola buenas tardes me pueden ayudar a diferenciar a mis niños porfavor esque a mi me han dicho que es hembra y creo que resulto ser macho pero no estoy bien segura ya que mi cuya parece estar embarazada
Buen día. Me pueden ayudar a saber que es mi cuyo si hembra o macho