Derrame pleural en gatos - Causas, síntomas y tratamiento
Ver fichas de Gatos
El derrame pleural es una acumulación de líquido de diferente naturaleza en el espacio pleural de los gatos. El espacio pleural es el hueco entre las dos pleuras de los felinos, que recubren al pulmón y que ayudan en la respiración. Por este motivo, un acúmulo anormal de líquido en esta cavidad provoca que los gatos presenten dificultad respiratoria, lo que les causa agitación y aumento de la frecuencia respiratoria. El derrame pleural más que una enfermedad en sí es un signo clínico de otras enfermedades y procesos patológicos felinos, por lo que un buen diagnóstico es la pieza clave para conocer el origen del derrame y el análisis del líquido ya que, entre otras pruebas diagnósticas, ayuda a descubrirlo.
Si quieres saber más sobre el derrame pleural en gatos, sus causas, síntomas y tratamiento no dudes en seguir leyendo este artículo de ExpertoAnimal.
¿Qué es el derrame pleural?
El derrame pleural es una acumulación anormal de líquido de diversas naturalezas en el espacio pleural, que es el espacio entre la pleura visceral (membrana que recubre los pulmones) y la parietal (la que recubre las paredes del tórax, mediastino y diafragma) y que naturalmente contiene una mínima cantidad de fluido para lubricar los pulmones durante los movimientos respiratorios.
Un trastorno en la producción o eliminación de dicho fluido causa un acúmulo excesivo del mismo en el espacio pleural, lo que ocasiona una restricción del movimiento pulmonar durante la inspiración (expansión pulmonar) que puede producir que los lóbulos del pulmón se colapsen.
En general, el derrame pleural en el gato se puede producir por alguno de los siguientes mecanismos:
- Aumento de la permeabilidad capilar.
- Reducción de la presión oncótica de los capilares.
- Aumento de la presión hidrostática de los capilares.
- Obstrucción linfática.
Tipos de derrame pleural en gatos
El derrame pleural en los gatos puede ser de varios tipos dependiendo de la naturaleza del líquido acumulado en el espacio pleural. El líquido se debe analizar y, según una serie de características y parámetros, lo podremos dividir en los siguientes tipos:
- Derrame pleural de trasudado puro: el color del líquido es claro o amarillento, con poca cantidad de proteínas (<2,5 gr/dl), sin fibrina y poca celularidad (<1.000 cel/microlitro).
- Derrame pleural de trasudado modificado: con color amarillento-rosado, algo turbio, tiene una cantidad de proteínas entre 2,5 y 5 gr/dl, sin fibrina, triglicéridos ni bacterias y con un recuento celular de 1.000-15.000 cel/microlitro (llegando a 100.000 si lo produce el linfosarcoma) y con células mesoteliales, neutrófilos no degenerados y células neoplásicas en linfosarcoma. Quizás también pueda interesarte echarle un vistazo a este otro post de ExpertoAnimal sobre el Linfoma en perros, su tratamiento y esperanza de vida.
- Derrame pleural de exudado inflamatorio: con mismo color que el anterior, la cantidad proteica es de 2,5-6 gr/dl, alcanzando incluso las 8,5 gr/dl en caso de PIF y presencia de fibrina pero sin triglicéridos ni bacterias y un contenido celular de 1.000-20.000 cel/microlitro (llegando a 100.000 si lo produce el linfosarcoma) y con neutrófilos no degenerados, macrófagos y células neoplasias en tumores.
- Derrame pleural de exudado séptico: con color amarillento-marronáceo y turbio u opaco, las proteínas totales son de 3- 7 gr/dl y contiene fibrina, bacterias pero no triglicéridos. El recuento celular es de 5.000-300.000 cel/microlitro y contiene neutrófilos degenerados, macrófagos y bacterias.
- Derrame pleural de linfa: el color en este caso es blanco-lechoso (aunque a veces puede ser rosáceo-rojizo) con una cantidad de proteínas de 2,5-6 gr/dl y con fibrina, triglicéridos y sin bacterias. El contenido celular es de 500-20.000 cel/microlitro y suele contener linfocitos, neutrófilos y macrófagos.
- Derrame pleural de sangre: el color es rojo y opaco, con más de 3 gr/dl de proteínas y con fibrina pero sin triglicéridos ni bacterias, con un recuento celular similar al de la sangre periférica y con glóbulos rojos y algunos glóbulos bancos.
Causas de derrame pleural en gatos
Son muchas las causas que pueden producir un acúmulo de líquido en el espacio pleural de los gatos. En general, cualquiera de las siguientes enfermedades y trastornos puede ocasionar derrame pleural felino:
- Enfermedad hepática: por desarrollo de una hipoproteinemia que reduce la presión oncótica y permite la salida y el acúmulo de líquido en el espacio pleural.
- Enfermedad renal (glomerulonefritis): por pérdida de proteínas en orina. Descubre aquí 4 síntomas de enfermedad renal en gatos.
- Enteropatía:por pérdida de proteínas a nivel intestinal.
- Cardiomiopatía congestiva: por fallo cardiaco congestivo en enfermedades como defectos congénitos del corazón, dirofilariosis felina, cardiomiopatía hipertrófica o enfermedades del pericardio. Puedes consultar más información sobre la Cardiomiopatía hipertrófica felina, sus síntomas y tratamiento en este otro post de ExpertoAnimal.
- Peritonitis infecciosa felina (PIF) húmeda: debido a una vasculitis inmunitaria, causando daño en el endotelio de los vasos sanguíneos y salida de proteínas y suero de los capilares. El exudado es fibrinoso no séptico (no bacteriano). Para saber más sobre la Peritonitis infecciosa felina (PIF), sus síntomas y tratamiento, no dudes en consultar este artículo.
- Infecciones bacterianas: pudiendo causar acúmulo de pus (piotórax) debido a entrada de bacterias por mordedura y heridas, perforación del ecófago o la tráquea, extensión de una neumonía, penetración de espigas, infección periodontal grave, etc.
- Tumores en el mediastino: como el linfosarcoma, timoma, hemangiosarcoma o tumores mamarios.
- Tumor en el pulmón (adenocarcinoma): ya sea primario o secundario por metástasis de otra localización.
- Hernia diafragmática: por el traumatismo o accidente que la haya producido.
- Torsión del lóbulo pulmonar medio derecho o izquierdo.
- Traumatismo torácico: por lesión pulmonar o ruptura de vasos sanguíneos del tórax, produce derrame pleural de sangre (hemotórax), así como en la intoxicación por raticidas (coagulopatía).
Síntomas de derrame pleural en gatos
Los signos clínicos de derrame pleural en el gato generalmente son los siguientes:
- Disnea o dificultad respiratoria.
- Reducción de los sonidos pulmonares debido al líquido.
- Aumento de la frecuencia respiratoria o taquipnea.
- Tos: para más información sobre la Tos en gatos, los síntomas, causas y tratamiento, lee este post que te sugerimos.
- Intolerancia al ejercicio.
- Anorexia y pérdida de peso: no dudes en echarle un ojo a este artículo sobre la Anorexia en gatos, sus causas, síntomas y tratamiento.
Además, dependiendo de la enfermedad o condición que lo haya originado, el gato presentará síntomas asociados al proceso. Por ejemplo:
- En los trastornos que originan un fallo cardíaco congestivo: los gatos tendrán también hipotermia, pulso débil y distensión de la vena yugular, así como también pueden presentar un aumento del tamaño del hígado y ascitis. Quizás te interese este artículo que te recomendamos sobre la Hipotermia en gatos, sus causas, síntomas y tratamiento.
- En los casos de peritonitis infecciosa felina: pueden presentar depresión, fiebre e ictericia (coloración amarillenta de las mucosas), signos neurológicos y oculares. Te sugerimos que consultes este artículo para saber si Mi gato está deprimido, las causas, síntomas y tratamientos.
- En el caso de tumores mediastínicos: puede aparecer también regurgitación y disfagia por compresión del esófago, síndrome de Horner si se comprime la cadena simpática, edema de cuello y cabeza si se comprime la vena cava craneal, reducción de los sonidos cardíacos y pulmonares y distensión de la vena yugular. Si no conocías el Síndrome de Horner en gatos, sus causas y tratamiento, te dejamos este artículo para que lo averigües.
- En el caso de la glomerulonefritis: los gatos presentarán signos de enfermedad renal como aumento de la micción e ingesta de agua, mucosas pálidas, vómitos o síndrome urémico, entre otros.
- En caso de la enfermedad hepática: puede verse ictericia, aumento de las enzimas hepáticas y ascitis y en en la enteropatía perdedora de proteínas se pueden ver también edemas y ascitis, así como enfermedad tromboembólica por perder también antitrombina a nivel intestinal.
Diagnóstico de derrame pleural en gatos
Lo primero que hay que hacer es una anamnesis completa mediante preguntas al cuidador del gato enfermo y una exploración física del gato para observar signos clínicos, condición corporal, respiración, auscultación y estado mental.
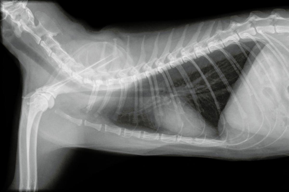
Ante síntomas como dificultad respiratoria, taquipnea y reducción de los sonidos pulmonares, el diagnóstico de derrame pleural es muy probable. En una radiografía se puede evidenciar presencia de líquido en el espacio pleural al impedir una visualización normal de los pulmones y con la ecografía se puede sospechar o deducir que tipo de líquido es (trasudado, sangre, linfa, pus), obteniendo clara la información con el análisis del líquido tras una toracocentesis mediante recuento celular, citología y bioquímica. En caso de sospecha de infección, el líquido se debe cultivar.
Otras formas de diagnóstico de derrame pleural en gatos son:
- Electrocardiograma: para evaluar la función del corazón y detectar arritmias y las pruebas de detección del virus de la PIF en casos de sospecha de esta enfermedad infecciosa.
- Análisis de sangre, la bioquímica y el análisis de orina: son indispensables para descartar causas renales, hepáticas o digestivas y observar el estado general de salud del gato.
Tratamiento del derrame pleural en gatos
La terapia del derrame pleural va a depender de la causa que lo origine. Aún así, el tratamiento de urgencia incluye oxigenoterapia debido a la dificultad respiratoria, toracocentesis o punción del espacio pleural para drenar el líquido y a la vez tomar muestras del mismo para su análisis y diuréticos como la furosemida o la espironolactona para reducir el estrés del gato, aunque depende del origen de la causa.
- En los tumores: se deberá usar quimioterapia y, en algunos tumores, hernias diafragmáticas y torsión del lóbulo pulmonar, el tratamiento será quirúrgico.
- En caso de piotórax: se deberá tratar la infección que está provocando el acúmulo de pus en el espacio pleural mediante antibióticos. En el quilotórax por acúmulo de linfa en el espacio pleural, se debe drenar de forma frecuente el quilo mediante toraconcentesis o colocando un tubo de drenaje al gato, si esto no es efectivo, se deberá plantear el tratamiento quirúrgico con ligadura del conducto torácico tras drenar la linfa de la cavidad pleural.
Si se evidencia un fallo cardiaco, además de diuréticos y oxígeno se pueden usar fármacos como nitroglicerina o digoxina. En enfermedad renal, hepática e intestinal, se deberá adecuar una terapia efectiva para controlar dichas patologías.
Secuelas de un derrame pleural en gatos
El derrame pleural en los gatos puede dejar secuelas aunque, generalmente, con la terapia y el diagnóstico adecuado del problema los gatos mantienen su salud y calidad de vida como antes del derrame. Entre las principales secuelas de derrame pleural en los gatos encontramos:
- Daño a nivel del pulmón como un edema pulmonar.
- Infección mal resuelta que se convierte en un absceso crónico llamado empiema.
- Presencia de aire en la cavidad torácica o neumotórax tras la toracocentesis.
Este artículo es meramente informativo, en ExpertoAnimal.com no tenemos facultad para recetar tratamientos veterinarios ni realizar ningún tipo de diagnóstico. Te invitamos a que lleves a tu mascota al veterinario en el caso de que presente cualquier tipo de condición o malestar.
Si deseas leer más artículos parecidos a Derrame pleural en gatos - Causas, síntomas y tratamiento, te recomendamos que entres en nuestra categoría de Enfermedades respiratorias.
- Aybar, V.; Casamián, D.; Cerón, J. J.; Clemente, F.; Fatjó, J.; Lloret, A.; Luján, A.; Novellas, R.; Pérez, D.; Silva, S.; Smith, K.; Tegles, F.; Vega, J.; Zanna, G. (2018). Manual Clínico de Medicina Felina. Ed.SM Publishing LTD. Sheffield, UK.
