Displasia de cadera en perros - Síntomas y Tratamiento
Ver fichas de Perros
La displasia de cadera, también llamada displasia coxofemoral, es una enfermedad osteoarticular que afecta a muchos perros alrededor del mundo. Es hereditaria y no se desarrolla hasta los 5-6 meses de edad, aunque lo más habitual es notar los síntomas durante la etapa adulta. Es una enfermedad degenerativa que puede llegar a ser tan dolorosa para el perro que en estado avanzado llega incluso a incapacitar sus extremidades traseras.
Afecta a razas caninas grandes o gigantes, especialmente si estas no han recibido las dosis adecuadas de calcio y minerales que requieren para su rápido crecimiento. Pueden favorecer el desarrollo de esta enfermedad la mala alimentación, el ejercicio físico extremo, el sobrepeso y las alteraciones hormonales. No obstante, también puede producirse por causas genéticas y aleatorias. Si sospechas que tu mascota puede estar padeciendo esta enfermedad, sigue leyendo este artículo de ExpertoAnimal sobre la displasia de cadera en los perros para descubrir los síntomas y el tratamiento indicado.
- ¿Qué es la displasia de cadera en perros?
- Grados de displasia de cadera en perros
- Razas de perros predispuestas a la displasia de cadera
- Causas y factores de riesgo de la displasia de cadera
- Síntomas de displasia de cadera en perros
- Diagnóstico de displasia de cadera en perros
- Cómo curar la displasia de cadera en perros: tratamiento
- Soportes y arneses para tratar la displasia de cadera en perros
- ¿Cuánto vive un perro con displasia de cadera?
- Prevención de la displasia de cadera
- Cuidados de un perro con displasia de cadera
¿Qué es la displasia de cadera en perros?
La palabra "displasia" tiene origen griego y su significado es el de "dificultad para formarse", es por este motivo que la displasia de cadera en los perros consiste en una malformación de la articulación coxofemoral. La cadera o articulación coxofemoral es la articulación que une el fémur (hueso del muslo) con el hueso de la pelvis. La cabeza del fémur tiene forma de bola y se mueve dentro de una cavidad cóncava del hueso pélvico, llamada acetábulo.
Durante el crecimiento del perro, la cadera no adopta una forma armoniosa y adecuada, por el contrario, se desplaza ligera o excesivamente hacia los laterales, produciéndose una luxación e impidiendo un movimiento correcto que se agrava con el tiempo. Como resultado de esta malformación, tanto la articulación como los tejidos periarticulares se inflaman y debilitan debido al roce y, por ende, el perro sufre dolor e incluso cojera provocándole dificultad para desarrollar sus actividades rutinarias, tales como sentarse o subir escaleras. Como consecuencia, es habitual que se desarrollen problemas secundarios como la osteoartrosis.
Aunque son muchos los perros que pueden llevar en sus genes esta enfermedad, en muchos casos no llega a desarrollarse.
Grados de displasia de cadera en perros
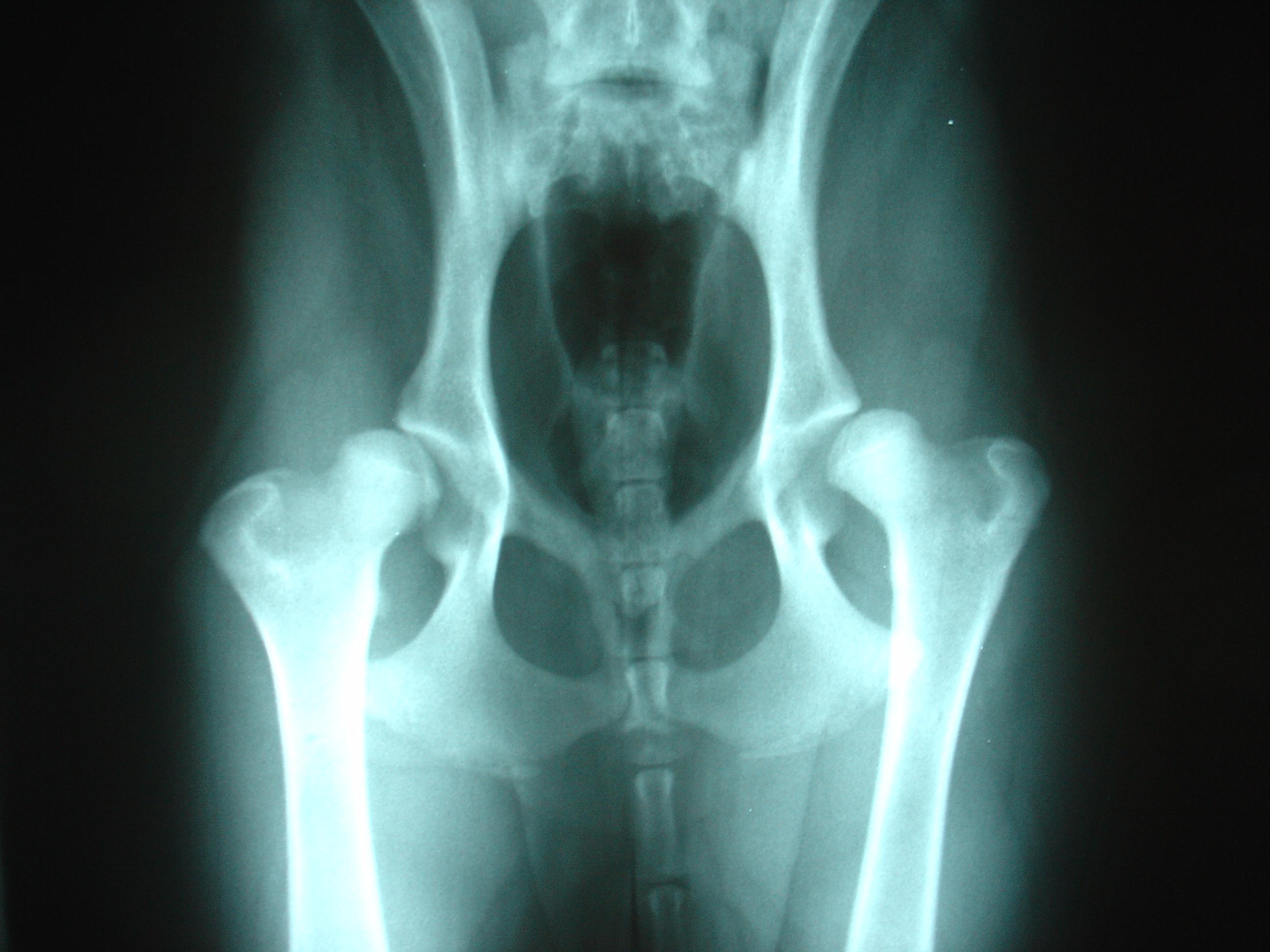
Actualmente, se distinguen cinco grados de displasia de cadera en perros, que clasifican la enfermedad en función de su gravedad, observables a través de una radiografía:
- Grado A: el perro tiene una cadera normal y, por tanto, no presenta signos de displasia.
- Grado B: existe una ligera sospecha de que el perro pueda padecer displasia.
- Grado C: la radiografía muestra signos leves de displasia.
- Grado D: existe una moderada displasia de cadera.
- Grado E: el perro sufre una displasia de cadera grave.
Si la displasia de cadera no se encuentra en sus primeras fases, es habitual que empeore y pase de un grado a otro en poco tiempo. Por ello, es necesario aplicar los cuidados para perros con displasia de cadera adecuadas a cada caso, siempre de la mano de un especialista.
Razas de perros predispuestas a la displasia de cadera
La displasia de cadera puede afectar a todo tipo de perros, aunque es más común que se desarrolle en razas de tamaño grande o gigante. Debemos intentar prevenirlo informándonos bien de las necesidades de nuestra mascota en cada etapa de su vida.
Aunque es común observar displasia de cadera en el pastor alemán, lo cierto es que esta no es la única raza con tendencia a padecerla. De esta forma, las razas de perros propensas a sufrir displasia de cadera son:
- Pastor alemán
- Pastor belga malinois
- Pastor belga de tervueren
- Mastín del Pirineo
- Mastín español
- Mastín napolitano
- San bernardo
- Boyero de Berna
- Lebrel italiano
- Whippet
- Golden retriever
- Rottweiler
- Husky siberiano
- Border tierrier
- Bulldog inglés
- Bulldog francés
- Bulldog americano
Causas y factores de riesgo de la displasia de cadera
La displasia coxofemoral es una enfermedad compleja, ya que es causada por múltiples factores, tanto genéticos como ambientales. Aunque es hereditaria, no es congénita, puesto que no se presenta desde el nacimiento, sino que el perro la desarrolla a medida que crece.
Los factores que influyen en la aparición de displasia de cadera en perros son:
- Predisposición genética: aunque todavía no se han identificado los genes involucrados en la displasia, existen evidencias fuertes de que se trata de una enfermedad de carácter poligénico, es decir, que es causada por dos o más genes diferentes.
- Crecimiento rápido y/o obesidad: una alimentación inadecuada puede favorecer el desarrollo de la enfermedad. Brindarle al cachorro mucho alimento de alto contenido calórico puede conducir a un crecimiento rápido que lo predispone a sufrir displasia de cadera. La obesidad en perros también puede favorecer el desarrollo de la enfermedad, ya sea en perros adultos como en cachorros.
- Ejercicios inapropiados: los perros en crecimiento deben jugar y hacer ejercicio para liberar sus energías, desarrollar su coordinación y socializar. Sin embargo, los ejercicios que impactan en las articulaciones pueden causar daños, especialmente en la etapa de crecimiento. Por eso, los saltos son desaconsejables en perros que todavía no han completado su desarrollo. También sucede igual en los perros ancianos que necesitan realizar ejercicio sin resentir sus huesos. Un exceso de actividad puede suponer la aparición de esta enfermedad.
Si bien el crecimiento rápido, la obesidad y los ejercicios inapropiados pueden favorecer el desarrollo de la enfermedad, el factor crítico es el genético. Debido a esto, la enfermedad es más común en algunas razas de perros entre las que se suelen encontrar razas grandes y gigantes, tales como el San Bernardo, mastín napolitano, pastor alemán, labrador, golden retriever y rottweiler, mencionadas en el apartado anterior. No obstante, algunas razas de talla media y pequeña también son muy propensas a esta enfermedad. Entre estas razas se encuentran el bulldog inglés (una de las razas más propensas a desarrollar displasia coxofemoral), el pug y los spaniel. En cambio, en los galgos la enfermedad es casi inexistente.
De cualquier manera, hay que tener en cuenta que al ser una enfermedad hereditaria pero influida por el ambiente, la incidencia de la misma puede variar mucho. Por supuesto, la displasia de cadera también se presenta en perros mestizos.
Síntomas de displasia de cadera en perros
Los síntomas de la displasia de cadera suelen ser menos evidentes cuando la enfermedad empieza a desarrollarse y se vuelven más intensos a medida que el perro envejece y sus caderas se deterioran. Los síntomas son:
- Inactividad
- Rechazo a jugar
- Rechazo a subir escaleras
- Rechazo a correr y saltar
- Cojera
- Dificultad para mover las patas posteriores
- Movimientos de "salto de conejo"
- Balanceos
- Rigidez en la cadera
- Rigidez en las patas traseras
- Dolor de cadera
- Dolor de pelvis
- Atrofia muscular
- Chasquidos audibles
- Dificultad para levantarse
- Aumento de los músculos de los hombros
- Espalda curva
Estos síntomas pueden ser constantes o intermitentes. Además, suelen empeorar después de que el perro juegue o haga ejercicio físico. Si detectas alguno de estos síntomas te recomendamos acudir al veterinario para que le realice las pruebas pertinentes y certifique si el perro tiene realmente esta enfermedad.
Sufrir displasia de cadera no significa el fin de las rutinas diarias que realiza tu perro. Es cierto que deberás seguir unas pautas y consejos que pueden cambiar su vida, pero con tu ayuda tu perro puede mejorar su calidad de vida y seguir disfrutando mucho tiempo contigo.
Diagnóstico de displasia de cadera en perros
Si tu perro presenta algunos de los síntomas descritos anteriormente, podría tener displasia de cadera y debes llevarlo al veterinario para que haga el diagnóstico correspondiente. Durante el diagnóstico, el veterinario palpará y manipulará las caderas y la pelvis y solicitará una radiografía de esa zona. Para realizar la radiografía, es posible que sea necesario anestesiar al perro, ya que la misma debe hacerse con el animal tumbado boca arriba. Además, puede pedir análisis de sangre y de orina. El resultado de ese diagnóstico indicará si la afección es displasia de cadera u otra enfermedad.
Ten en cuenta que el dolor y la dificultad para moverse dependen más de la inflamación, la temperatura de trabajo y el daño a la articulación que del grado de displasia en sí mismo. Por eso, algunos perros que en el análisis radiográfico presentan displasias leves pueden sufrir mucho dolor, mientras que otros que presentan displasias severas pueden estar menos doloridos.
Cómo curar la displasia de cadera en perros: tratamiento
Aunque la displasia de cadera no tiene cura, sí existen tratamientos que permiten aliviar el dolor y mejorar la calidad de vida del perro enfermo. Estos tratamientos pueden ser médicos (no quirúrgicos) o quirúrgicos. Para decidir qué tratamiento seguir, hay que considerar la edad del perro, su tamaño, estado de salud general y grado de daño en la cadera. Por supuesto, en la toma de decisión también entran en juego la preferencia del médico veterinario y el coste de los tratamientos.
Medicamentos para la displasia de cadera en perros
El tratamiento médico se aconseja generalmente para perros con displasias leves y para los que por diferentes motivos no pueden ser operados. Suele requerir la administración de medicamentos antiinflamatorios, analgésicos y condroprotectores (medicamentos que protegen los cartílagos). Así mismo, es conveniente restringir ciertos ejercicios, controlar el peso y seguir una dieta estricta. Es importante resaltar que los antiinflamatorios para la displasia de cadera en perros, así como el resto de medicamentos, solo pueden ser recetados por un especialista y suelen tener efectos secundarios en el aparato digestivo y renal.
También puede complementarse el tratamiento con ayudas ortopédicas, fisioterapia, hidroterapia y masajes para aliviar el dolor en la articulación y fortalecer los músculos. Todos estos ejercicios para perros con displasia de cadera permiten mejorar la calidad de vida del animal.
Operación de displasia de cadera en perros
El tratamiento médico tiene la desventaja de que debe seguirse durante toda la vida del perro y que no elimina la displasia, sino que simplemente demora o detiene su desarrollo. Sin embargo, en muchos casos esto no resulta muy complicado y es suficiente para que el perro goce de una buena calidad de vida.
La cirugía de la displasia de cadera en perros es recomendada cuando el tratamiento médico no da resultados o cuando el daño a la articulación es muy severo. Una de las ventajas del tratamiento quirúrgico es que, una vez superado el cuidado postoperatorio, no es necesario mantener un tratamiento estricto durante el resto de la vida del perro. Sin embargo, también hay que tomar en cuenta que la cirugía presenta sus propios riesgos y que algunos perros pueden mostrar dolor después de la misma.
El tratamiento curativo por excelencia es la triple osteotomía pélvica, que consiste en la remodelación quirúrgica de los huesos, proporcionando así una unión artificial mediante una placa que mantenga correctamente los huesos en su lugar y sin permitir que el fémur se desplace.
Existen otros casos en los que no se podrá realizar este tipo de trabajo, hablamos de casos incurables. Para ellos, contamos con tratamientos paliativos como la artroplastia por exención de la cabeza del fémur que consiste en extirpar la cabeza del fémur permitiendo así la formación artificial de una articulación nueva. Evita el dolor pero reduce el rango de movimientos y puede generar anormalidades al caminar, aunque concede al perro una digna calidad de vida. Además, también existe la opción de sustituir la articulación de la cadera por una prótesis artificial.
Soportes y arneses para tratar la displasia de cadera en perros
En los casos en los que no es posible llevar a cabo la cirugía, además de poder administrar medicamentos para aliviar los síntomas, es conveniente utilizar soportes y/o arneses diseñados específicamente para tratar la displasia de cadera en perros. Los soportes permiten estabilizar la cadera del animal al ejercer un soporto físico sobre la articulación y aumentar la temperatura de trabajo, lo que permite reducir la inflamación y, por tanto, el dolor, estimulando la actividad del grupo muscular y evitando así la atrofia y aceleración del proceso degenerativo. El soporte de cadera está indicado para perros de todas las edades.
Por otro lado, el arnés de soporte para perros está recomendado para canes que requieran de una ayuda para sostener su cadera. Con él, podemos ayudar al perro a caminar de una forma más segura y estable. En el caso de que esta ayuda sea necesaria de forma más constante, podemos ayudarnos de las sillas de ruedas autoajustables. Así pues, si te preguntas cómo ayudar a un perro con displasia de cadera, sin duda, estos productos le harán la vida mucho más fácil.
En OrtoCanis encontrarás diferentes soportes, sillas de ruedas y arneses para perros con displasia de cadera, fabricados con materiales de alta calidad y diseñados por expertos con el fin de mejorar la calidad de vida de los perros con movilidad reducida.
¿Cuánto vive un perro con displasia de cadera?
Si la displasia de cadera no se trata, el perro puede sufrir dolor e incapacidad. Para los perros que llegan a grados muy avanzados de displasia de cadera, la vida sin ayudas se convierte en una agonía. Sin embargo, el pronóstico médico para los perros que reciben tratamiento a tiempo suele ser muy bueno. Estos perros pueden vivir vidas muy felices y saludables, aunque con algunas restricciones de dieta y ejercicio físico.
Dicho lo anterior, un perro con displasia de cadera no tiene por qué vivir menos tiempo si recibe los cuidados necesarios.
Prevención de la displasia de cadera
Puesto que la displasia de cadera es una enfermedad causada por la interacción de los genes y el ambiente, la única forma real de prevenirla y erradicarla es evitando que los perros con displasia de cadera se reproduzcan. Esta es la razón de que los pedigríes de perros de determinadas razas indiquen si el perro está libre de la enfermedad o el grado de displasia que tiene.
Por ejemplo, la Federación Cinológica Internacional (FCI) usa la siguiente clasificación basada en letras, de la A a la E, que coincide con la clasificación de los grados de displasia de cadera en perros:
- A (Normal): libre de displasia de cadera.
- B (Transición): existen pequeños indicios en la radiografía, pero no son suficientes para confirmar la displasia.
- C (Leve): displasia leve de cadera.
- D (Media): la radiografía muestra displasia media de cadera.
- E (Grave): el perro presenta displasia severa.
Los perros que tienen displasias con grados C, D y E no debieran emplearse en centros de cría, ya que es muy probable que transmitan los genes portadores de la enfermedad.
Por otro lado, debemos tener siempre precaución con el ejercicio físico y la obesidad de nuestra mascota. Estos dos factores son claramente influyentes en la aparición de displasia de cadera.
Cuidados de un perro con displasia de cadera
Aunque tu perro sufra displasia de cadera puedes mejorar su calidad de vida considerablemente si le cuidas como merece. De esta forma, y siguiendo unas pautas, tu perro podrá seguir realizando sus actividades rutinarias, eso sí, con más calma que antes.
- Una de las propuestas que funcionan mejor es la natación, tanto en la playa como en la piscina. De esta forma, el perro desarrolla los músculos que rodean las articulaciones sin desgastarlos. Un par de veces a la semana será suficiente.
- No dejes de sacar a tu perro de paseo porque sufra displasia. Reduce el tiempo de paseo pero aumenta las veces que le sacas, es muy importante que entre todos los paseos juntos sumen al menos 60 minutos de ejercicio.
- Si tu perro sufre obesidad es fundamental que lo soluciones cuanto antes. Recuerda que el perro apoya el peso en la cadera y este problema podría agravar la displasia. Busca en el mercado piensos light o establece una dieta casera adecuada y evita los snacks ricos en grasa. Descubre en ExpertoAnimal cómo hacer que tu perro adelgace.
- Llévalo al veterinario a hacerse revisiones periódicas para comprobar que su estado de salud no empeora. Sigue los consejos que te dé el especialista.
- Si siente mucho dolor puedes intentar aliviar los síntomas mediante masajes, abrigos térmicos o bolsas de agua caliente en invierno.
- Como hemos visto en apartados anteriores, existen sillas de ruedas autoajustables para perros que sufren displasia, soportes de cadera y arneses de soporte. Si el tuyo está siguiendo un tratamiento conservador, podría beneficiarse de estas ayudas ortopédicas.
Este artículo es meramente informativo, en ExpertoAnimal.com no tenemos facultad para recetar tratamientos veterinarios ni realizar ningún tipo de diagnóstico. Te invitamos a que lleves a tu mascota al veterinario en el caso de que presente cualquier tipo de condición o malestar.
Si deseas leer más artículos parecidos a Displasia de cadera en perros - Síntomas y Tratamiento, te recomendamos que entres en nuestra categoría de Enfermedades hereditarias.
¿Tienes contratado el Seguro de Responsabilidad Civil obligatorio para perros? Consiguelo al mejor precio rellenando el formulario con tus datos y los de tu mascota haciendo clic en este botón:

Tengo un dálmata, anoche le hicieron la cirugía para tratar su problema de displasia
Gracias por la información muy completa, tengo un labrador golden que amaneció hace un par de días con un dolor muy fuerte por la cadera, el veterinario no pudo tomara las radiografías aún pero me anticipó que podría ser dispoacia. Hoy le hace los rayos x y mientras esta tomando antiinflamatorios
Buenos días
Mi nombre es Isabel, tengo una perra Ovejero Alemán de 10 años. Ella realiza tratamientos para la Displasia de cadera, tomando Gerioox y una dieta alimentaria. Me gustaría saber si puedo ayudarla de alguna otra manera, tomando antiinflamatorios o analgésicos, ya que últimamente le cuesta mucho ponerse de pie y caminar. Desde ya muchas gracias!
Hola, tengo un rottweiler de 11 años y casi 6 meses de edad. Yo todos los dias lo sacaba a pasear para evitar justamente esta enfermedad y prácticamente de un dia para el otro empezó a dificultarle su caminata, ya que sus patas traseras apenas las puede flexionar y tengo el temor que tenga displacia. ¿Que es lo que me recomienda que no lo saque pasear un tiempo y luego lo llevo al veterinario?
Hola mi perra dogo de 1 año y medio empezó a renguear de la pata trasera y en el vete me dijeron que puede que sea displacia ahora hay que esperar que la revise una traumatologa. con las injecciones y pastillas ya apoya su pata.
Hola!!Para prevenir la displacer de cadera en cachorro que medicamento le puedo dar...Y cual es el tratamiento..
mi rotweiler tiene 7 meses, presenta displasia de cadera y subluxación de la cadera derecha. el a veces corre muy rápido aunque lo tratamos de detener por que sabemos que le hace daño. ahí no parece dolerle nada. luego una vez que se acuesta a descansar un rato y al ponerse de pie es que llora un poco como señal de dolor pero luego ya camina con cierta dificultad pero tranquilo, ademas nosé si es por apoyarse en su pata delantera derecha a veces presenta dolor en la misma tanto al caminar como al tacto. Estaria diospuesta a operarlo siempre y cuando sea la única opción para que el este bien, pero leo tanto sobre utilizar arnes o la terapia física que no me queda claro que procedimiento seguir y sinceramente lo digo es por cuestión económica porque no puedo darme el lujo de gastar en la terapia física y que luego me digan que igual hay que operar. por favor traten de ayudarme