La mastitis en gatas - Síntomas y tratamiento
Ver fichas de Gatos
Pocas veces se inunda un hogar con tanta ternura como aquellas en las que una gata ha dado a luz a su camada y cuida de sus cachorros. La lactancia y atención de la madre durante las primeras tres semanas será de gran importancia para un adecuado desarrollo de los gatitos y una atención adecuada a la madre por parte del propietario será imprescindible para mantener a la gata en un buen estado de salud, a través de los cuidados necesarios.
Tras el embarazo de la gata pueden darse ciertos problemas de salud típicos de la etapa del post parto y es importante que el propietario esté advertido acerca de los mismos para así detectar cualquier trastorno lo antes posible, ya que un tratamiento a tiempo resulta de gran importancia para la recuperación de la gata.
En este artículo de Experto Animal te hablamos acerca de los síntomas y tratamiento de la mastitis en gatas.
¿Qué es la mastitis?
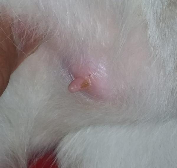
La mastitis se define como una inflamación de las glándulas mamarias, el número de glándulas afectadas puede variar en cada caso. Si bien se trata de un problema común en el post-parto, puede aparecer por otros motivos.
La muerte de algún gatito, un destete abrupto, la falta de higiene o la propia succión de los cachorros también son factores que pueden predisponer la aparición de mastitis.
En ocasiones la mastitis va más allá de una simple inflamación y comporta también infección, en este caso, las bacterias que afectan más comúnmente a las gatas son Escherichia Coli, estafilococos, estreptococos y enterococos.
Generalmente la infección se inicia en el pezón y asciende hasta la glándulas mamarias, la mastitis puede ir desde una inflamación leve que apenas presenta síntomas hasta una infección grave con gangrena (muerte del tejido por falta de irrigación sanguínea).
Síntomas de la mastitis
Los síntomas de la mastitis en gatas son muy variables dependiendo de la gravedad de la misma, no obstante, desde los casos más leves hasta los más graves se engloban los siguientes signos:
- La camada no gana el peso adecuado (establecido en un 5 % del peso al nacer por día)
- La gata no quiere amamantar a sus cachorros
- Inflamación moderada de las glándulas, que aparecen duras, dolorosas y en ocasiones ulceradas
- Formación de abscesos o gangrena
- Descargas mamarias hemorrágicas o purulentas
- Leche con aumento de la viscosidad
- Anorexia
- Fiebre
- Vómitos
Si observamos algunos de estos síntomas en nuestra gata debemos acudir de forma urgente al veterinario, ya que la mastitis puede ser muy grave tanto para la madre como para los cachorros.
Diagnóstico de la mastitis
Para diagnosticar la mastitis el veterinario se basará en los síntomas y en la historia completa de la paciente, no obstante también puede realizar varias de las siguientes pruebas diagnósticas:
- Citología (estudio de las células) de la secreción mamaria
- Cultivo bacteriano de la leche
- Análisis sanguíneo donde podrá observar un aumento de glóbulos blancos en caso de infección y una alteración en las plaquetas en caso de que exista gangrena
Tratamiento de la mastitis
Tratar adecuadamente la mastitis no supone interrumpir la lactancia de los cachorros ,que debe tener una duración mínima que oscile entre las 8 y 12 semanas, de hecho, el destete se reserva únicamente a aquellos casos donde exista formación de abscesos o mastitis gangrenosa.
Continuar con la lactancia favorecerá el drenaje de las mamas, y si bien la leche será más pobre y estará contaminada por antibióticos, esto no supondrá un peligro para los gatitos.
El veterinario elegirá un antibiótico de amplio espectro para realizar el tratamiento, siendo los más habituales los siguientes:
- Amoxicilina
- Amoxicilina + Ácido Clavulánico
- Cefalexina
- Cefoxitina
El tratamiento tendrá una duración aproximada de 2-3 semanas y se podrá realizar en el hogar, a excepción de aquellos casos en los que exista una infección generalizada o sepsis.
En el caso de mastitis con gangrena se puede recurrir a una intervención quirúrgica para extirpar el tejido necrótico. El pronóstico es bueno en la mayoría de los casos.
Este artículo es meramente informativo, en ExpertoAnimal.com no tenemos facultad para recetar tratamientos veterinarios ni realizar ningún tipo de diagnóstico. Te invitamos a que lleves a tu mascota al veterinario en el caso de que presente cualquier tipo de condición o malestar.
Si deseas leer más artículos parecidos a La mastitis en gatas - Síntomas y tratamiento, te recomendamos que entres en nuestra categoría de Problemas del embarazo.

A mí gatita de 20 días de parida, se le hizo una úlcera en su tetita y se formó como unas masa en su vientre. Dice la Dra que es mastitis. Le pasará con medicina o es necesario operarla.?.
Mi gata tiene demasiado inflamada sus tetas, pensamos que era embarazo pero a medida que pasa el tiempo son pelotas grandes lo que tiene
Hola, no tengo los recursos para llevar a mi gata al veterinario, pero la quiero mucho.
¿Como cuidar crías de gato?
Hay una gatitos q tubo gatitos en mi yarda y los recojimos pero descubrimos q la gata mordia a los gatitos cuando intentaban alimentarse y la razon es x q tiene una herida abierta en la parte superior e inferior de su pezon q podemos hacer x ella